3.30 우럭 볼락 열기
페이지 정보
작성자 마린초이스 작성일21-04-02 10:30 조회8,407회 댓글0건관련링크
본문
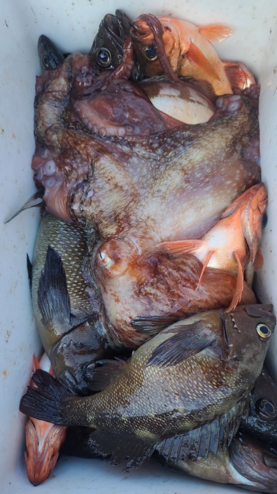
30일우럭조과입니다 우럭씨알들이 좋습니다
열기볼락 탁자볼락등 4짜탁자볼락 죽입니다
쿨러조황들입니다
우럭이 빵빵터지네요
열기볼락 탁자볼락등 4짜탁자볼락 죽입니다
쿨러조황들입니다
우럭이 빵빵터지네요
댓글목록
등록된 댓글이 없습니다.








